Board of Trustees Addresses Change in Zoning and Swears In New Officer

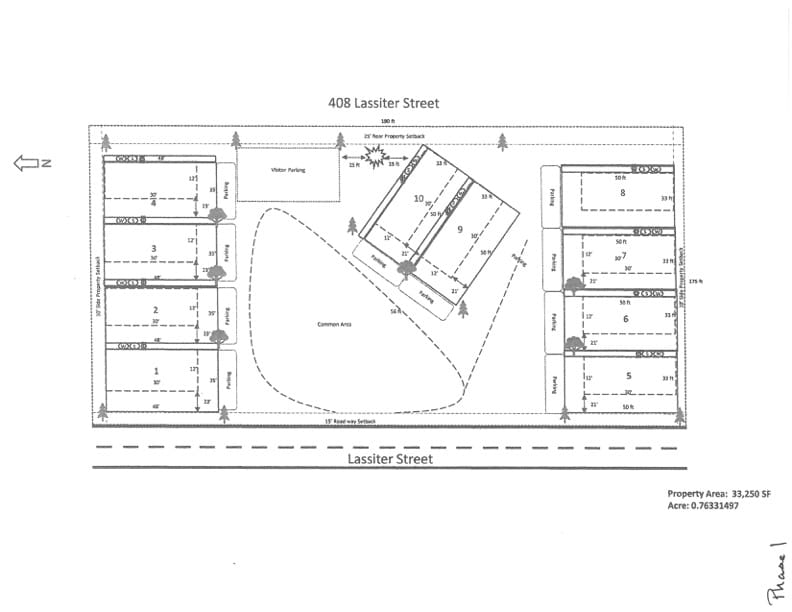
Estancia opened its Monday, September 16, 2024, Board of Trustees meeting with a public hearing addressing whether to approve a zoning amendment request made by Robert "Bo" Lutrick. Lutrick, the owner of 408 and 415 Lassiter Street North, sought to convert the zoning from R-1, Conventional Residential Zoning, to S-U, Special Use Zoning - Recreational Vehicle Park. Lutrick explained that he intended to have 14 spaces for RVs in the park. Neighbors - specifically Bonnie Thomas and Lynnette McMillan - objected to the request for amended zoning based on the noise anticipated from the RV park and the presence of strangers in the neighborhood. The Board of Trustees voted to approve the change in zoning during the regular meeting, with only Trustee Morrow Hall voting against the measure.

Trustee Amy Lynn May stated she believed that Lutrick was trying to address neighbors' concerns. Mayor Nathan Dial said that RV park patrons would have to use dump stations for their sewage due to chemical waste that was not supposed to go into the town's sewage system.

The Board of Trustees approved the hiring of Isaac Aragon to a full-time certified police officer position with Estancia Police Department (EPD), and Interim Chief Thomas Carter and Town Clerk Roy Hubbard swore in Aragon. Carter reported that the police had conducted active shooter training with the Estancia Public Schools. Carter said that the department needed a shooting range and that he wanted to locate the range near the Pumpkin' Chunkin' property. Mayor Dial said that Estancia Emergency Medical Services (EMS) and EPD would be fully staffed by the end of September.
The Board of Trustees approved the hiring of Jordan Duran as a full-time certified police officer. He will be sworn in during the next meeting. Similarly, the Board of Trustees approved the hiring of Lester Gary as a full-time emergency medical technician/paramedic.
The public portion of the Board of Trustees meeting concluded when the board voted to go into executive session to discuss threatened litigation by an unnamed employee.